New developer looking to redevelop Front Street in West Conshohocken with apartments

In January 2024, MoreThanTheCurve.com reported on a concept presented to West Conshohocken’s council that involved redeveloping a significant portion of Front Street with a 289-foot, 25-story mixed-use building. The building would have featured ground-floor retail, several floors of parking, 258 apartments, and a rooftop restaurant.

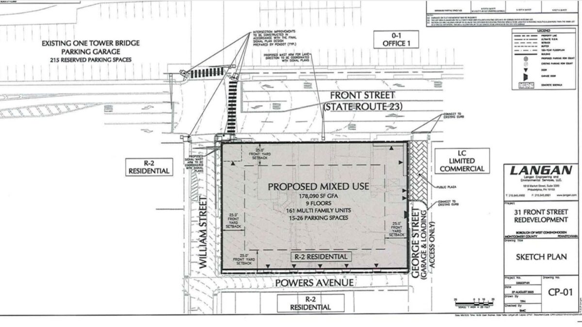
The properties involved were 21 to 37 Front Street (All properties along Front Street between George and William streets). One of these properties was home to the series of restaurants Cunningham’s Court, Baggataway, and finally Westside Bar & Grill.

That concept, presented by the property owner, an entity associated with Michael Sloane, and Korman Properties, never went beyond the initial presentation.

Now, a new developer, Buccini/Pollin Group, who has the property under agreement, has introduced a new concept for the properties. During an October 6th meeting of West Conshohocken’s open space, parks, and recreation committee, a representative of Buccini/Pollin unveiled a sketch plan for a nine-story building that would be 178,090 square feet and feature 161 apartments, as well as 2,571 square feet of street-level retail space.

There would just be 15-26 parking spaces on-site. Bucini Pollin owns One Tower Bridge, the large office building across Front Street from the proposed redevelopment site. It is proposed that the bulk of the parking be located in what is described as the “underutilized parking structure” at One Tower Bridge.

The available documents for this presentation include a pedestrian study for Front Street that discusses the best location for a pedestrian bridge, which is part of the borough’s vision plan.

If approved, this would be the first large apartment community on the West Conshohocken side of the river in the 19428 zip code.

This redevelopment plan has not been officially proposed, and the available documents do not include details on what type of approvals would be needed to move forward.

Bucini Pollin recently submitted a similar sketch plan for a mixed-use project that would redevelop a portion of the Quaker Park office campus in Conshohocken (Whitemarsh Township)

More to come.

Image: Sketch plan from Buccini/Pollin Group